विदेश
दक्षिण सैंडविच द्वीप समूह में भूकंप के तेज झटके, रिक्टर स्केल पर 7.0 रही तीव्रता
29 Sep, 2022 06:20 PM IST | SAMIKSHASAGAR.COMकिंग एडवर्ड पॉइंट दक्षिण सैंडविच द्वीप समूह में 7.0 तीव्रता का भूकंप आया है। भूकंप की...
PIA ने अपनी एयर होस्टेस को अंडरगारमेंट पहनने की दी हिदायत
29 Sep, 2022 05:37 PM IST | SAMIKSHASAGAR.COMइस्लामाबाद: पाकिस्तान इंटरनेशनल एयरलाइंस (PIA) की तरफ से फ्लाइट अटेंडेंट्स या एयर होस्टेस को लेकर अजीबो-गरीब...
अफगान महिलाओं ने ईरान के समर्थन में उठाए झंडे, तालिबानी लड़ाकों ने फायरिंग कर खदेड़ा
29 Sep, 2022 05:36 PM IST | SAMIKSHASAGAR.COMकाबुल ईरान में पुलिस की हिरासत के दौरान एक महिला की मौत पर ईरान में विरोध...
चीन: रेस्तरां में लगी भीषण आग, 17 लोगों की जलकर मौत; तीन घायल
28 Sep, 2022 08:05 PM IST | SAMIKSHASAGAR.COMबीजिंग चीन के एक रेस्तरां में भीषण आग लग गई है। आग में झुलसने से 17...
पाकिस्तान को तालिबान ने दी चेतावनी, अफगानिस्तान के आंतरिक मामलों में दखल देना बंद करने की कही बात
28 Sep, 2022 07:12 PM IST | SAMIKSHASAGAR.COMकाबुल [अफगानिस्तान] संयुक्त राष्ट्र महासभा के 77वें सत्र में अफगानिस्तान में आतंकवादी समूहों की मौजूदगी का...
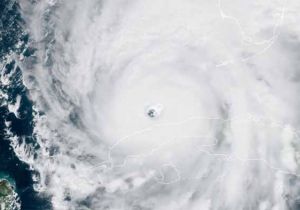
क्यूबा में चक्रवाती तूफान इयान से तबाही, भारी तबाही से बिजली हुई ठप
28 Sep, 2022 06:12 PM IST | SAMIKSHASAGAR.COMनई दिल्ली समुद्री चक्रवाती तूफान 'इयान' मूसलाधार बारिश और तेज रफ्तार से चलती हवाओं के साथ...
कनाडा ने जारी की एडवाइजरी, कहा- भारत में पाकिस्तान की सीमा से लगे क्षेत्रों की यात्रा न करें
28 Sep, 2022 05:12 PM IST | SAMIKSHASAGAR.COMओटावा (कनाडा) कनाडा (Canada) ने अपने नागरिकों को गुजरात, पंजाब और राजस्थान राज्यों के सभी क्षेत्रों...
पुतिन संसद में यूक्रेन के 15 फीसदी हिस्से को रूस में विलय करने का ऐलान कर सकते हैं
28 Sep, 2022 05:00 PM IST | SAMIKSHASAGAR.COMमॉस्को रूस ने यूक्रेन के जिन इलाकों में कब्जा कर रखा है वहां जनमत संग्रह करवाया...
16 अक्टूबर से 17 नवंबर के बीच उत्तर कोरिया कर सकता है न्यूक्लियर टेस्ट, इस एजेंसी ने किया दावा
28 Sep, 2022 04:56 PM IST | SAMIKSHASAGAR.COMसियोल दक्षिण कोरिया की राष्ट्रीय जासूसी एजेंसी ने कहा है कि 2017 के बाद से उत्तर...
दोस्त शिंजो आबे का जिक्र कर भावुक हुए प्रधानमंत्री नरेंद्र मोदी
27 Sep, 2022 10:00 PM IST | SAMIKSHASAGAR.COMटोक्यो प्रधानमंत्री नरेंद्र मोदी ने टोक्यो में अपने जापानी समकक्ष फुमियो किशिदा से मंगलवार को मुलाकात...
बांग्लादेश: नाव पलटने से अब तक 60 की मौत, इनमें अधिकतर महिलाएं और बच्चे हैं शामिल
27 Sep, 2022 07:24 PM IST | SAMIKSHASAGAR.COMढाका बांग्लादेश के पंचगढ़ में रविवार को नाव पलटने से अब तक 60 की मौत हो...
सबसे जरूरी दोस्त चीन भी छोड़ रहा रूस का साथ, पुतिन के अधिकारी बोले, हमारे पास अब दो ही पार्टनर
27 Sep, 2022 04:55 PM IST | SAMIKSHASAGAR.COMमॉस्को जियो-पॉलिटिक्स में कौन किसके साथ है और कौन किसके खिलाफ, इसका फैसला देश अपने हितों...
ईरान में क्रूरता की हदें पार, हिजाब के खिलाफ प्रदर्शन करने वाली 20 साल की महिला के चेहरे, गर्दन पर मारी गई गोली, मौत
27 Sep, 2022 04:22 PM IST | SAMIKSHASAGAR.COMतेहरान ईरान में हिजाब की जबरदस्ती को लेकर महिलाएं सड़क पर उतर चुकी हैं। वहीं ईरानी...
पाकिस्तान को फंड देने पर एस. जयशंकर ने लगाई अमेरिका की क्लास
27 Sep, 2022 03:34 PM IST | SAMIKSHASAGAR.COMवॉशिंगटन अमेरिका की ओर से पाकिस्तान को 450 मिलियन डॉलर की मदद एफ-16 फाइटर जेट्स के...
शिंजो आबे का होगा सबसे महंगा अंतिम संस्कार, शामिल होने टोक्यो पहुंचे पीएम मोदी
27 Sep, 2022 02:20 PM IST | SAMIKSHASAGAR.COMटोक्यो जापान पहुंचे प्रधानमंत्री नरेंद्र मोदी ने समकक्ष फुमियो किशिदा से मुलाकात की। खबर है इस...
